Diskuse a galerie
Seřazení podle vláken | Seřadit podle času | Pouze vlákna | Doporučené
Zobrazit celou diskusi
Ryby versus hřiby, 09.11.2014 21:21, Pavla, (O přírodě)
Všimla jsem si, že houbaři ruku v ruce s rybáři jdou, takže nedělní atmoška a rybník Bezruč
Re: Ryby versus hřiby, 10.11.2014 19:38, vlk(m), (O přírodě)
...ani nevím, jestli smutné pokoukání...ale vánoce klepou na dveře...a hezká fotka...díky...
Re: Ryby versus hřiby, 09.11.2014 21:21, Pavla, (O přírodě)
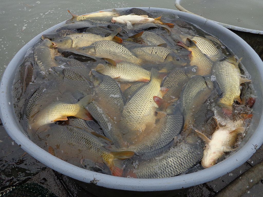
„Pomóóóc …“ (prý němá tvář) 
Re: Ryby versus hřiby, 09.11.2014 21:21, Pavla, (O přírodě)
zde naopak stopro němý troudnatec kopytovitý
Re: Ryby versus hřiby, 09.11.2014 21:21, Pavla, (O přírodě)
při výlovu ryb a hledání hub ovšem můžete najít v listí i smutné totok
Re: Re: Ryby versus hřiby, 09.11.2014 21:56, Zdeno(m), (O přírodě)
Totok je češtinářský skvost...Skoro jako kurde...
Re: Ryby versus hřiby, 09.11.2014 21:21, Pavla, (O přírodě)
A v neposlední poslední řadě ...
Re: Ryby versus hřiby, 09.11.2014 21:21, Pavla, (O přírodě)
myslíte, že je to ona? Ta, ta, no víte, kterou myslím … (mlžím, ale tipa mám, díky za určení) 
Re: Re: Ryby versus hřiby, 09.11.2014 21:25, Zdeno(m), (O přírodě)
Pokud si myslíš na václavku, tak O.K.
Re: Re: Re: Ryby versus hřiby, 09.11.2014 21:29, Pavla, (O přírodě)
Takže K.O. - díky ;)
Re: Re: Re: Re: Ryby versus hřiby, 09.11.2014 21:41, Zdeno(m), (O přírodě)
Já vím, myslelas na čepičatku jehličnanovou, ta není tak robustní...Dáš-li si do woka staré václavky, ani Tě to nenapadne...
Re: Re: Re: Re: Ryby versus hřiby, 09.11.2014 21:45, vevanek, (O přírodě)
Že ty sis myslela na tyto, o kterých já si myslím, že jsou to ti jedovatí vetřelci.
Zobrazovaný počet vláken: 10 20 30